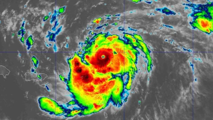
El huracán Erin prácticamente ha alcanzado la categoría 5 en la escala Saffir-Simpson, tras una enorme intensificación que elevó sus vientos sostenidos a entre 250 y 260 km/h, lo que confirma su evolución a uno de los ciclones más peligrosos de la temporada.
La tormenta se localiza a unos 190 kilómetros al noreste de Anguila, desplazándose hacia el oeste-noroeste a 32 km/h, una velocidad que podría modificar su trayectoria en las próximas horas.
Trayectoria y zonas en riesgo
El fenómeno continúa avanzando hacia el noroeste, acercándose a las Islas de Sotavento, Islas Vírgenes y Puerto Rico. Se prevé que, en los próximos días, el huracán gire hacia el norte, lo que evitaría un impacto directo en el territorio estadounidense, aunque sus efectos podrían sentirse de forma parcial en la costa este de EU y Bermudas.
Alertas activas
Los efectos de Erin ya se hacen notar en varias regiones del Caribe. Las autoridades han emitido avisos de tormenta tropical en:
Saint Martin
Saint Barthélemy
Anguila
Antigua y Barbuda
Entre los principales riesgos asociados al paso de Erin se encuentran:
Lluvias intensas, con acumulados estimados entre 50 y 150 mm, lo que podría generar inundaciones repentinas y deslizamientos de tierra en zonas montañosas o urbanas vulnerables.
Mareas y oleajes peligrosos, con riesgo de corrientes marinas adversas que podrían extenderse desde el mar Caribe hasta Bermudas y la costa atlántica de EU.
Potencial interrupción en servicios básicos y transporte marítimo en las zonas bajo advertencia.


